Just drive down it. Although the valley is large, it's not terribly steep. And like all valleys, some places are steeper than others.
Here's a cross-section from https://productforums.google.com/forum/#!topic/gec-mars/9kR0zzUGuRc:

Note the vertical scale is exaggerated 4 times, making the actual cross section more like this:

Moreover, as with any steep terrain, there are local features that are not as steep. Here's one approach that gets you into the valley without going down any of the steep slopes:

This is taken from a section near the middle:

With a detailed topographical map, some reconnaissance, planning, and care, getting to the bottom of the valley shouldn't be especially difficult. This is just one example. People do this sort of thing all the time on Earth, on much steeper terrain. The Grand Canyon is steeper but it's not difficult to drive down it.
We can assume since there are no roads on Mars, if the colony is mobile at all it has decent off-road capability. Even taking no effort to avoid the steep parts, and going straight down the canyon walls, the grade is only about 25%. While this would be a challenge to a typical Earth semi-trailer (Veil pass on I-70 is 6% grade), potential Mars vehicles would necessarily be more rugged.
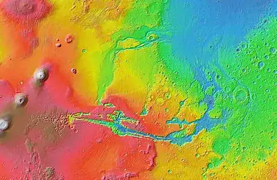
The awe of Valles Marineris isn't the steepness: it's just the huge size of it. It's about as long as the United States are wide, and it's about as deep as Mt. Everest is tall.
Although, this does raise questions of why the valley would be any better. Indeed the atmosphere is thicker, but it's still very thin. According to this Mars atmospheric model by NASA, the pressure at altitudes below 7 km are
$$ p = 0.699 \cdot e^{-0.00009 h} $$
where $h$ is the altitude in meters. So at 0m, that's 0.699 kPa. At -5km, 1.09 kPa. Better I suppose, though compared to the 101 kPa on Earth at sea level, you'll still need pressurized suits. Even filling the suits with pure oxygen, you'll require a pressure of 32.4 kPa.
The valley is too wide to provide appreciable protection from wind storms. And wind storms on Mars are not all that bad. Peak winds are around 60 mph, while Earth storms can double that. And the atmosphere on Mars is so thin, the force imparted by a 60 mph wind is very much less. The problem with dust storms is really the deposition of dust on solar panels, but we can assume a colony has solved this problem with something as simple as a feather duster.
I can't find anything to indicate aquifers are more likely to be found in Valles Marineris. It's not known how the valley was formed, with erosion by water being only one possible explanation. And regardless, that there was water there in the past does not mean it's there now.
It is the case that only at the lowest elevations on Mars can liquid water exist (it would sublimate into vapor at higher altitudes due to the lower pressure), but if you just wanted to get to a lower elevation there are more easily reached places than Valles Marineris, such as Vastitas Borealis. Or you could aim for Hellas Planitia, which has lower elevations. While you're there, you can visit the crash site of the Mars 2 lander, the first man-made object on Mars.
If you're able to make use of subsurface water, they may be all over the planet. In fact if a colony were on Mars in the first place, it would probably already be situated over such an aquifer, with missions between now and 2100 having already surveyed the aquifers.