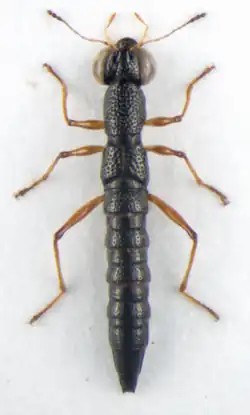
Stenus hamiguitanensis

Taxonavigation
| Taxonavigation: Staphylinoidea |
|---|
|
Superregnum: Eukaryota |
Familia: Staphylinidae
Subfamilia: Steninae
Genus: Stenus
Species: Stenus hamiguitanensis
Name
Stenus hamiguitanensis Mainda, 2024
- Type locality: Philippines: Mindanao Island, San Isidro, Davao Oriental, Mt. Hamiguitan, 1350m, 6°42’46"N 126°11’10"E, mossy pygmy forest, sifting leaf litter.
- Holotype: cTM, ♂, 25.V.2024, leg. T. Mainda, D. & J. Patalita.
- ZooBank: FAB1F31D-F99E-4084-BFEE-BDB2FF7412EF
Native distribution areas
Philippines (Mindanao: Mt. Hamiguitan).
References
Primary references
- Mainda, T. 2024. Review of the azurescens-group, with the description of six new brachypterous species of Stenus Latreille, 1797 from the Philippines (Coleoptera, Staphylinidae, Steninae). Soil Organisms 96(3): 167–181. DOI: 10.25674/433 Reference page. [Original description: pp. 171-172, figs. 9, 20, 29, 34.]