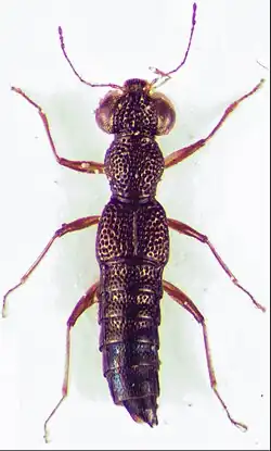
Stenus arunachalensis

Taxonavigation
| Taxonavigation: Staphylinoidea |
|---|
|
Superregnum: Eukaryota |
Familia: Staphylinidae
Subfamilia: Steninae
Genus: Stenus
Species: Stenus arunachalensis
Name
Stenus aranuchalensis Mainda, 2017
- Type locality: NE India, Arunachal Pr., Etalin vicinity, 700m, 28°36'56N 95°53'21E, sifting + Winkler app. extraction.
- Holotype: ZFMK, ♂, 12.–25.V.2012“. legit L. Dembický.
Native distribution areas
India (Arunachal Pradesh)
References
Primary references
- Mainda, T. 2017. Vier neue orientalische Arten von Stenus Latreille, 1797 (Coleoptera: Staphylinidae). Deutsche Entomologische Zeitschrift 127(4): 213–217. Reference page.
Links
- ZooBank: 72D1702E-59FA-4CF8-89F8-1AB40AA8F98A