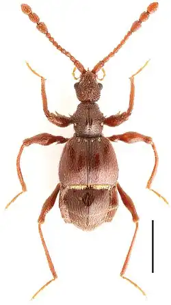
Pselaphodes monoceros

Taxonavigation
| Taxonavigation: Staphylinoidea |
|---|
|
Superregnum: Eukaryota |
Familia: Staphylinidae
Subfamilia: Pselaphinae
Supertribus: Pselaphitae
Tribus: Tyrini
Subtribus: Tyrina
Genus: Pselaphodes
Species: Pselaphodes monoceros
Name
Pselaphodes monoceros Yin & Hlaváč, 2013: 57
- Type locality: CHINA: Xizang Prov., Cuona County, Lexiang, alt. 2500 m.
- Holotype: SNUC, ♂, 16.vii.2012, Ye Liu leg.
Native distribution areas
China (Xizang).
References
Primary references
- Yin, Z-W., Hlaváč, P. & Li, L-Z. 2013. Further studies on the Pselaphodes complex of genera from China (Coleoptera, Staphylinidae, Pselaphinae). ZooKeys 275: 23–65. DOI: 10.3897/zookeys.275.4571 Reference page. [original description: p. 57, figs. 22B, 24]
Additional references
- Yin, Z-W. 2019. Two new species and new records of the Pselaphodes-complex of genera from China (Coleoptera: Staphylinidae: Pselaphinae). Revue suisse de zoologie 126(2): 197–202 DOI: 10.5281/zenodo.3463447
Reference page. [material: p. 201]