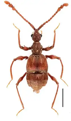
Pselaphodes jizushanus

Taxonavigation
| Taxonavigation: Staphylinoidea |
|---|
|
Superregnum: Eukaryota |
Familia: Staphylinidae
Subfamilia: Pselaphinae
Supertribus: Pselaphitae
Tribus: Tyrini
Subtribus: Tyrina
Genus: Pselaphodes
Species: Pselaphodes jizushanus
Name
Pselaphodes jizushanus Yin, Li & Zhao, 2011: 471
Type locality: China, Yunnan Province, Binchuan County, Jizushan Mt., 2400m.
Holotype: SNUC. male ♂. 14.VII.2010. legit Liang Tang.
References
Primary references
- Yin, Z-W., Li, L-Z. & Zhao, M-J. 2011. Taxonomic study on the genus Pselaphodes Westwood (Coleoptera: Staphylinidae: Pselaphinae) from China. Part II. Annales zoologici 61(3): 463–481. DOI: 10.3161/000345411X603337 Reference page. > [original description]
Additional references
- Yin, Z-W. & Li, L-Z. 2012. Notes on Michael Schülke’s pselaphine collections from China. – Tyrini. I. genera Labomimus Sharp, Linan Hlaváč and Pselaphodes Westwood (Coleoptera, Staphylinidae, Pselaphinae). ZooKeys 251: 83-118. DOI: 10.3897/zookeys.251.4099 Reference page. [material, diagnosis, distribution, notes: p. 108, figs. 15A, 16]