Philpottia
Taxonavigation

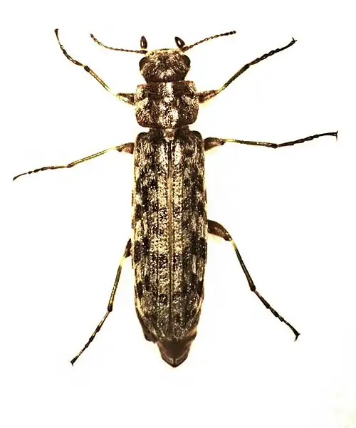
Philpottia levinotis, body length 8-10mm
| Taxonavigation: Tenebrionoidea |
|---|
|
Superregnum: Eukaryota |
Familia: Chalcodryidae
Genus: Philpottia
Species (2): P. levinotis โ P. mollis
Name
- Philpottia Broun, 1915
References
cited sources
- Broun, T. 1915: Descriptions of new genera and species of Coleoptera. Part IV. New Zealand Institute bulletin, (1 )(4): 267โ346. Internet Archive BHL BUGZ
Additional references
- Watt, J.C. 1974: Chalcodryidae: a new family of heteromerous beetles (Coleoptera: Tenebrionoidea). Journal of the Royal Society of New Zealand, 4: 19โ38. Google books BUGZ
This article is issued from Wikimedia. The text is licensed under Creative Commons - Attribution - Sharealike. Additional terms may apply for the media files.