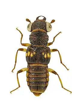
Megalopinus rolandmuelleri

Megalopinus rolandmuelleri Paratype

Taxonavigation

Taxonavigation: Staphylinoidea 

Superregnum: Eukaryota
Cladus: Unikonta
Cladus: Opisthokonta
Cladus: Holozoa
Regnum: Animalia
Subregnum: Eumetazoa
Cladus: ParaHoxozoa
Cladus: Bilateria
Cladus: Nephrozoa
Cladus: Protostomia
Cladus: Ecdysozoa
Cladus: Panarthropoda
Phylum: Arthropoda
Cladus: Pancrustacea
Cladus: Allotriocarida
Subphylum: Hexapoda
Classis: Insecta
Cladus: Dicondylia
Subclassis: Pterygota
Infraclassis: Neoptera
Cladus: Eumetabola
Cladus: Holometabola
Superordo: Coleopterida
Ordo: Coleoptera
Subordo: Polyphaga
Infraordo: Staphyliniformia
Superfamilia: Staphylinoidea

Familia: Staphylinidae
Subfamilia: Megalopsidiinae
Genus: Megalopinus
Species: Megalopinus rolandmuelleri

Name

Megalopinus rolandmuelleri Mainda, 2022

Type locality: Philippines, Mindanao, Aglayan, Bukidnon Prov.

Holotype: cTM, ♂, 15.iv.1995, R. A. Müller”.

Native distribution areas: Philippines (Mindanao Island)

References

Primary references

This article is issued from Wikimedia. The text is licensed under Creative Commons - Attribution - Sharealike. Additional terms may apply for the media files.