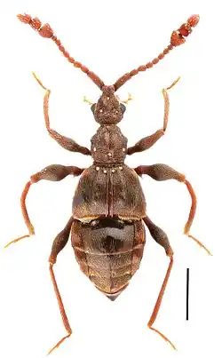
Labomimus mirus

Taxonavigation
| Taxonavigation: Staphylinoidea |
|---|
|
Superregnum: Eukaryota |
Familia: Staphylinidae
Subfamilia: Pselaphinae
Supertribus: Pselaphitae
Tribus: Tyrini
Subtribus: Tyrina
Genus: Labomimus
Species: Labomimus mirus
Name
Labomimus mirus Yin & Li, 2012: 90
- Type locality: CHINA: (N-Yunnan) Dali Bai Nat. Aut. Pref., Diancang Shan, 3 km W Dali old town, pine forest at “cloud road”, night upper chair-list station, 24°41.1'N, 100°06.8'E, 2650-2750 m.
- Holotype: private collection M. Schülke, Berlin, ♂, 1.IX.2003 Wrase [19C].
References
Primary references
- Yin, Z-W. & Li, L-Z. 2012. Notes on Michael Schülke’s pselaphine collections from China. – Tyrini. I. genera Labomimus Sharp, Linan Hlaváč and Pselaphodes Westwood (Coleoptera, Staphylinidae, Pselaphinae). ZooKeys 251: 83-118. DOI: 10.3897/zookeys.251.4099 Reference page. [original description: p. 90, figs. 1C, 4]