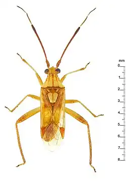
Hyalopeplus

Taxonavigation
| Taxonavigation: Miroidea |
|---|
|
Superregnum: Eukaryota |
Familia: Miridae
Subfamilia: Mirinae
Tribus: Hyalopeplini
Genus: Hyalopeplus
Species: H. aneityunensis – H. clavatus – H. cuneatus – H. grandis – H. guamensis – H. hebridensis – H. kandanensis – H. lineifer – H. longirostris – H. loriae – H. madagascariensis – H. malayensis – H. marquesanus – H. matocqi – H. nigrifrons – H. nigroscutellatus – H. pellucidus – H. rama – H. rubroclavatus – H. rubrojugatus – H. samoanus – H. similis – H. smaragdinus – H. spinosus – H. tongaensis – H. tutuilaensis
Name
- Hyalopeplus Stal, 1871