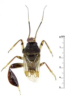
Gigantometopini

Taxonavigation
| Taxonavigation: Miroidea |
|---|
|
Superregnum: Eukaryota |
Familia: Miridae
Subfamilia: Isometopinae
Tribus: Gigantometopini
Genera: Astroscopometopus – Bruneimetopus – Gigantometopus – Planicapitus
Name
Gigantometopini Herczek, 1993
References
Primary references
- Herczek, A. 1993. Systematic position of Isometopinae Fieb. (Miridae, Heteroptera) and their interrelationships. Prace Naukowe Uniwersytetu Śląskiego w Katowicach 1357: 1–86. Reference page.
Additional references
- Taszakowski, A., Kim, J., Damken, C., Wahab, R.A., Herczek, A. & Jung, S. 2020. Two new genera and species of the Gigantometopini (Hemiptera, Heteroptera, Miridae, Isometopinae) from Borneo with remarks on the distribution of the tribe. ZooKeys, 941: 71–89. DOI: 10.3897/zookeys.941.47432
Reference page.