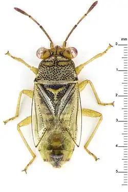
Germalus

Taxonavigation
| Taxonavigation: Lygaeoidea |
|---|
|
Superregnum: Eukaryota |
Familia: Geocoridae
Subfamilia: Geocorinae
Genus: Germalus
Species: G. ashlocki – G. australis – G. banari – G. benyovszkyi – G. bipunctatus – G. coloratus – G. conradsi – G. costalis – G. cucullatus – G. fuliginosus – G. fusconervosus – G. fuscovittatus – G. ghesquierei – G. greeni – G. indecorus – G. infans – G. kinbergi – G. kontschani – G. kozari – G. lateralis – G. lineolosus – G. littoralis – G. maculatus – G. minor – G. montandoni – G. montanus – G. montrouzieri – G. oceanicus – G. oroszi – G. pacificus – G. palauensis – G. pappi – G. pulchellus – G. robustus – G. samoanus – G. scutellatus – G. sellatus – G. sobrinus – G. telekii – G. unicolor – G. unipunctatus – G. variegatus – G. victoriae
Name
Germalus Stål, 1862
- Type species: Henestaris kinbergi Stål, 1860
Synonyms
References
Original reference
- Stål, C. 1862. Hemiptera mexicana enumeravit speciesque novas descripsit. Entomologische Zeitung 23(10–12): 81–118, 273–281, 289–325, 437–462. BHL Reference page.
Additional references
- Kóbor, P. 2020. An overview of the big-eyed bug fauna of French Polynesia (Heteroptera: Lygaeoidea: Geocoridae). Zootaxa 4743(3): 359–370. DOI: 10.11646/zootaxa.4743.3.3
Reference page. - Kóbor, P. 2023. Germalus kozari sp. nov.: Description of a new representative of big-eyed bugs from the Indomalayan Region with notes on allied species (Heteroptera: Lygaeoidea: Geocoridae). Acta Phytopathologica et Entomologica Hungarica 58(1): 5–17. DOI: 10.1556/038.2023.00178
Reference page. - Kóbor, P. & Kondorosy, E. 2022. The big-eyed bug genus Germalus Stål, 1862 in New Guinea (Heteroptera: Lygaeoidea: Geocoridae). Zootaxa 5182(3): 265–278. DOI: 10.11646/zootaxa.5182.3.4. Reference page.
- Malipatil, M.B. & Blacket, M.J. 2013. Review and revision of Australian Germalus Stål, with new genera and further new species of Australian Geocorinae (Hemiptera: Heteroptera: Geocoridae). Zootaxa 3746(2): 257–300. DOI: 10.11646/zootaxa.3746.2.3 Reference page.
Links
- ZooBank: 6946f7cd-4c34-4219-9c4d-b5a6276036f0