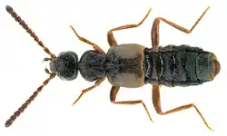
Falagria

Falagria

Taxonavigation

Taxonavigation: Staphylinoidea 

Superregnum: Eukaryota
Cladus: Unikonta
Cladus: Opisthokonta
Cladus: Holozoa
Regnum: Animalia
Subregnum: Eumetazoa
Cladus: ParaHoxozoa
Cladus: Bilateria
Cladus: Nephrozoa
Cladus: Protostomia
Cladus: Ecdysozoa
Cladus: Panarthropoda
Phylum: Arthropoda
Cladus: Pancrustacea
Cladus: Allotriocarida
Subphylum: Hexapoda
Classis: Insecta
Cladus: Dicondylia
Subclassis: Pterygota
Infraclassis: Neoptera
Cladus: Eumetabola
Cladus: Holometabola
Superordo: Coleopterida
Ordo: Coleoptera
Subordo: Polyphaga
Infraordo: Staphyliniformia
Superfamilia: Staphylinoidea

Familia: Staphylinidae
Subfamilia: Aleocharinae
Tribus: Falagriini
Genus: Falagria
Species: F. arcisdauphini F. birmana F. brasiliensis F. burundensis F. caesa F. capensis F. cavicollis F. chinensis F. coarcticollis F. collaris F. cordicollis F. cordifera F. cotopaxiensis F. crucifera F. denigrata F. dilaticollis F. dissecta F. ecuadorensis F. ecupallida F. glabriuscula F. hmong F. hova F. infans F. inornata F. intermedia F. kaszabi F. kawaensis F. kiambiensis F. kivuensis F. laevissima F. myrmecobia F. nitidula F. obscura F. pergracilis F. perpetua F. proletaria F. pyrrhonota F. quadrata F. soluta F. splendens F. subopaca F. sui F. sulcatula F. thoracica F. tottenhami F. transita F. vicina F. yemenensis


Invalid species names: F. abyssina  F. adnexa  F. aficana  F. albicincta  F. albo  F. alluaudi  F. altnorensis  F. alutipennis  F. amabilis  F. amiculum  F. amoenula  F. anceps  F. angulata  F. angusticeps  F. angustipennis  F. annapurnensis  F. arabs  F. arachnipes  F. arcisdauphini  F. assamensis  F. atra  F. atriceps  F. aureonitens  F. bartolozzii  F. basalis  F. basipennis  F. basisulcata  F. basiventris  F. becquarti  F. bipunctata  F. boliviana  F. brevicornis  F. brevisulcus  F. bruneiensis  F. caffra  F. capensis  F. capicola  F. cavicollis  F. cavipennis  F. cephalotes  F. ceylonica  F. chakratana  F. chang  F. cingulata  F. cingulate  F. cirrosa  F. coiffaiti  F. concava  F. concinna  F. confinis  F. congerens  F. cordicollis  F. cordifera  F. costaricensis  F. cotopaxiensis  F. crassiuscula  F. cribrata  F. crucifera  F. currax  F. deliciata  F. denigrata  F. densipennis  F. depressa  F. derougemonti  F. desertorum  F. differens  F. dilaticollis  F. dimidiata  F. discisa  F. discreta  F. dissecta  F. distracta  F. dominicana  F. dorylophila  F. ecuadorensis  F. ecupallida  F. ecustricta  F. elegans  F. elongata  F. embuensis  F. erythroptera  F. excisa  F. exserta  F. fauveli  F. ficta  F. fidelis  F. flavipennis  F. flavipes  F. flavocincta  F. floralis  F. formicaria  F. formosa  F. fovea  F. fusca  F. giachinoi  F. glabrata  F. glabriuscula  F. globosa  F. globulicollis  F. gomyi  F. gonzalezi  F. gratilla  F. hartmanni  F. hauseri  F. himalayica  F. hisamatsui  F. hornabrooki  F. houlberti  F. hova  F. hubeiensis  F. impresicollis  F. incerta  F. indocilis  F. innocua  F. inornata  F. intermedia  F. iowana  F. jacobsoni  F. japonica  F. javanica  F. jonica  F. kawaensis  F. kiambensis  F. kivuensis  F. klapperichi  F. laeta  F. laeviuscula  F. lata  F. latemarginata  F. latesulcata  F. laticollis  F. lecontei  F. liliputana  F. longicornis  F. longipes  F. macella  F. madafulva  F. madurensis  F. magnifica  F. malaisei  F. malandae  F. malayana  F. marcuzzii  F. matercula  F. medvedevi  F. mendax  F. meridioafricana  F. mexicana  F. mixta  F. monnoti  F. monticola  F. mudrana  F. munda  F. myrmecobia  F. myrmecolucida  F. myrmecophila  F. naevula  F. nakuruensis  F. neoguineana  F. nepalhimalayica  F. newara  F. nidorum  F. nigerrima  F. nigra  F. nigriceps  F. nilgiriensis  F. nilo  F. nitidula  F. occidua  F. occulta  F. ogloblini  F. opacella  F. optimatis  F. orientalis  F. orousseti  F. otongensis  F. pahari  F. pallida  F. pallipennis  F. pallipes  F. papuanotabilis  F. parae  F. paranitens  F. paravilis  F. paroe  F. partita  F. parva  F. peinantamontis  F. penipunctata  F. pergracilis  F. perpetua  F. philippina  F. picea  F. picticornis  F. pinophila  F. polita  F. polyctena  F. pravatis  F. proxima  F. pseudosoror  F. pseudosulcata  F. puella  F. pusilla  F. pygmaea  F. quadrata  F. quadriceps  F. quaesita  F. rhodesiae  F. riparia  F. rotundicollis  F. ruddii  F. rufa  F. rufibarbis  F. rugibasis  F. rugosipennis  F. salamannai  F. sanguinea  F. santiagana  F. sapida  F. schawalleri  F. schola  F. scissa  F. scupolai  F. scutellaris  F. selangorensis  F. semiaspera  F. semilucens  F. seminitens  F. semiopaca  F. semipolita  F. sherpa  F. shimianensis  F. siamensis  F. sichuanensis  F. sicula  F. sikhariana  F. simplex  F. smetanai  F. soluta  F. sororella  F. sparsipennis  F. sterilis  F. stricta  F. subaenca  F. subaenea  F. subopaca  F. subsimilis  F. sulawesiensis  F. sulcata  F. sulcicollis  F. sumatrensis  F. taiwaelegans  F. taiwarorida  F. taprobanensis  F. tenuicornis  F. texana  F. thoracica  F. tonkinensis  F. trancaspica  F. tranquillitatis  F. transita  F. tricolor  F. truncicola  F. tsin  F. uniformis  F. vaga  F. vagabunda  F. valparaisensis  F. varicornis  F. veluticollis  F. venustula  F. vestita  F. vexans  F. vitalei  F. xishanensis  F. yosii  F. zerchei  F. zhejiangensis

Name

Falagria Leach, 1819: 177

  • Type species: Staphylinus sulcatus Paykull, 1789 (= Falagria caesa Erichson, 1837), fixed by original designation.

Synonymy

  • Coenobiotes Gistel, 1856: 387
    • Type species: Staphylinus sulcatus Paykull, 1789 (= Falagria caesa Erichson, 1837), designated in Blackwelder, 1952: 102.

References

Primary references

  • Leach, W.E. 1819: [new genera]. In: Samouelle G.: The entomologist’s useful compendium; or an introduction to the knowledge of British insects comprising the best means of obtaining and preserving them, and a description of the apparatus generally used; together with the genera of Linné, and the modern method of arranging the classes Crustacea, Myriapoda, spiders, mites and insects from their affinities and structure, according to the views of Dr. Leach. Also an explanation of the terms used in entomology: a calendar of the times of appearance, and usual situations of near 3000 species of British insects; with instructions for collecting and fitting up objects for the microscope. London: Thomas Boys, 496 pp. BHL [original description: p. 177]

Additional references

  • Pace, R. 2009. Aleocharinae dell'Irian Jaya (Nuova Guinea) al Naturkundemuseum di Erfurt (Insecta: Coleoptera: Staphylinidae). (230° Contributo alla conoscenza delle Aleocharinae). [Aleocharinae from Irian Jaya (New Guinea) in the Naturkundemuseum Erfurt (Insecta: Coleoptera: Staphylinidae).] Veröffentlichungen des Naturkundemuseums Erfurt - VERNATE 28: 259–329. Reference page.  [key to the species of New Guinea: p. 271]
This article is issued from Wikimedia. The text is licensed under Creative Commons - Attribution - Sharealike. Additional terms may apply for the media files.