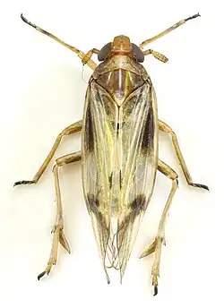
Euides basilinea

Euides basilinea

Taxonavigation

Taxonavigation: Fulgoroidea 

Superregnum: Eukaryota
Cladus: Unikonta
Cladus: Opisthokonta
Cladus: Holozoa
Regnum: Animalia
Subregnum: Eumetazoa
Cladus: ParaHoxozoa
Cladus: Bilateria
Cladus: Nephrozoa
Cladus: Protostomia
Cladus: Ecdysozoa
Cladus: Panarthropoda
Phylum: Arthropoda
Cladus: Pancrustacea
Cladus: Allotriocarida
Subphylum: Hexapoda
Classis: Insecta
Cladus: Dicondylia
Subclassis: Pterygota
Infraclassis: Neoptera
Cladus: Eumetabola
Cladus: Paraneoptera
Superordo: Condylognatha
Ordo: Hemiptera
Subordo: Auchenorrhyncha
Infraorder: Fulgoromorpha
Superfamilia: Fulgoroidea

Familia: Delphacidae
Subfamilia: Delphacinae
Tribus: Delphacini
Genus: Euides
Species: Euides basilinea

Name

Euides basilinea (Germar, 1821)

Synonyms

  • Delphax basilinea Germar, 1821
  • Liburnia basilinea Scott, 1870

References

Primary references


This article is issued from Wikimedia. The text is licensed under Creative Commons - Attribution - Sharealike. Additional terms may apply for the media files.