Villa rustica

Villa rustica (expresie latină, plural villae rusticae, conac rural) a fost termenul folosit de vechii romani pentru a desemna o proprietate rurală ce cuprindea locuința proprietarului și anexele gospodărești, care aveau o destinație condiționată de tipul principal de activitate pe care îl dezvoltă ferma respectivă (magazii, depozite, grajduri, etc.) [1]. Villa rustica se afla adesea în centrul unei proprietăți agricole de mari dimensiuni (latifundium).
Adjectivul rusticarum a fost folosit pentru a se distinge de vila urbană (insula). Villa rustica a servit prin urmare atât ca reședință a proprietarului și a familiei sale (și a slujitorilor), cât și de asemenea ca un centru de gestionare a exploatațiilor agricole. Aceasta includea adesea clădiri separate, adaptate muncilor agricole, incluzând grajduri și hambare (horrea) pentru animale și recolte. Ansamblul villei rustice se deosebea în funcție de arhitect, dar de obicei aceasta a constat din trei părți: urbana (clădirea principală), centru agricol și rusticana (zona fermei).

În România
De exemplu, la Săcelu a existat cea mai însemnată villa rustica din zona nordică a Olteniei, situată într-o regiune deluroasă, străbătută de apa pârâului Blahnița. Aici, pe lângă ocupațiile agrozootehnice, se desfășurau și activitățile legate de prelucrarea lutului și a pietrei [1].
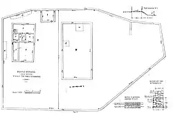
Un alt exemplu este lângă Sarmizegetusa. Ferma din hotarul comunei Hobița aparține tipului de fermă întâlnit în Africa și la Rin: amplasament cu diferite construcții din piatră sau din lemn, răspândite în spațiul închis de zidul incintei.[2]
Note
- 1 2 Villa rustica de la Săcelu
- ↑ Fermă (Villa rustica) din epoca sclavagistă romană - Octavian Floca
Referințe
- Analia Marzano: Roman villas in central Italy: a social and economic history. Brill 2007, ISBN 978-90-04-16037-8 (restricted online copy pe Google Books)
- Alfred Frazer: The Roman villa: villa urbana. UPenn Museum of Archaeology 1998, ISBN 978-0-924171-59-8 (restricted online copy pe Google Books)
- Alexander Gordon McKay: Houses, villas, and palaces in the Roman world . JHU Press 1998, ISBN 978-0-8018-5904-5 (restricted online copy pe Google Books)
- John T. Smith: Roman Villas. A Study in Social Structure. Routledge, London, 1997. ISBN 0-415-16719-1
- John Percival: The Roman Villa. A Historical Introduction. Batsford, London, 1988 (Paperback).
Vezi și
- Listă de villae rusticae din România
- Lista castrelor romane din România
Legături externe
- Villa rustica - Muzeul în aer liber din Hechingen, Germania Arhivat în , la Wayback Machine.
- Repertoriul Arheologic Național (RAN)[nefuncțională]