Barajul Măneciu
Barajul Măneciu este un baraj de pământ de 75,0 m înălțime executat pe râul Teleajen.
| Măneciu | |
![]() | |
| Geografie | |
|---|---|
| Râu | Teleajen |
| Bazin hidrografic | Ialomița |
| Localizare | județul Prahova, România |
| Date tehnice | |
| Data dării în folosință | 1994 |
| Cota coronamentului | 610,00 m.d.m. |
| Înălțime | 75,00 m |
| Lungime (la coronament) | 750,00 m |
| Realizatori | |
| Proiectant baraj | Ariana Teodorescu |
| Institut de proiectare | ISCPGA (în prezent Aquaproiect) |
| Lac de acumulare | |
| Suprafață | 1,92 km² |
| Lungime | 4,00 km |
| Bazin de recepție | 247,00 km² |
| Folosințe | alimentări cu apă, energie hidroelectrică, irigații |
| Plan | |
![]() Lacul Măneciu | |
Amplasamentul barajului
Barajul Măneciu este situat la poalele masivului Ciucaș, în amonte de localitatea Măneciu din județul Prahova.

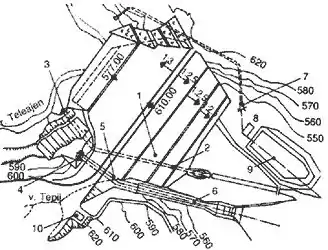
Legenda
1 - corpul barajului; 2 - conducta golirii de fund; 3 - intrarea în golirea de fund; 4 - deversor de ape mari; 5 - canalul descărcătorului de suprafață; 6 - disipator de energie; 7 - galerie de aducțiune a centralei hidroelectrice; 8 - centrala hidroelectrică; 9 - bazin de evacuare a apei
Barajul
Barajul Măneciu este un baraj din materiale locale cu ecran central de argilă. Barajul a fost proiectat de institului ISCPGA (în prezent Aquaproiect), proiectant al barajului fiind ing. Ariana Teodorescu
Lucrări anexă
Pentru evacuarea apelor mari, pe versantul drept a fost executat un deversor de suprafață cu o capacitate de 1360 m³/s
Lacul de acumulare
Lacul de acumulare Măneciu are un volum de 60 milioane m³ și o suprafață de 192 ha. În jurul lacului s-a dezvoltat o zonă de agrement, favorizată de existența în apropierea șoselei naționale Ploiești - Brașov. Astfel, lacul constituie unul din punctele de atracție a zonei turistice de pe valea râului Teleajen, care se întinde de la stațiunea Cheia la Vălenii de Munte.
Sistemul de gospodărire a apelor

1- miez central de etanșare din argilă; 2 - drenuri laterale; 3 - corpul barajului; 4 - protecție de beton a paramentului amonte; 5 - protecție din anrocamente; 6 - galerie 7 - dren 8 - ecran de etanșare din injecții




